新昌信息港

 找回密码
 立即注册

新昌澄潭街道新一轮征地来袭!用地面积3271平方米,赔偿金近...

查看数: 7035 | 评论数: 13 | 收藏 0
关灯 | 提示:支持键盘翻页<-左 右->
    组图打开中,请稍候......
发布时间: 2022-4-19 15:26

正文摘要:

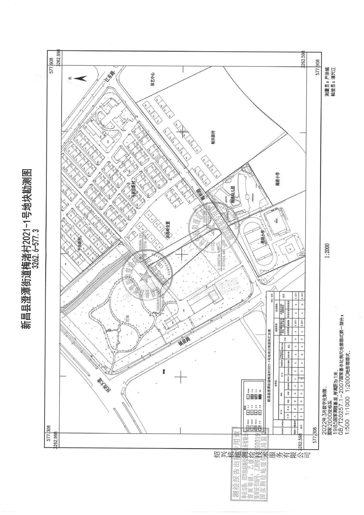
征地补偿安置公告(新昌县澄潭街道梅渚村2021-1号地块) 来源:新昌县自然资源和规划局 原标题:征地补偿安置公告(新昌县澄潭街道梅渚村2021-1号地块)

回复

余静清风来自:浙江省 发表于 2022-4-19 19:04:45
29万…现在能买个啥?
金中力来自:中国 发表于 2022-4-19 18:08:15
怎么不去小将巧英搞搞
捡到一个橙来自:浙江省 发表于 2022-4-19 17:48:57
刚造好的停车场要拆掉了
黑衣騎士来自:河南省 发表于 2022-4-19 17:36:57
看看了
小小一百姓来自:浙江省 发表于 2022-4-19 16:45:14
29万钱不知道进了谁的口袋
吕枭一来自:中国 发表于 2022-4-19 16:33:08
垃圾,又来炒作房价
池池来藻来自:中国 发表于 2022-4-19 16:29:59
澄潭变成街道后,就是各种土地征收,所以成街道是有好处的
微笑一世来自:浙江省 发表于 2022-4-19 16:26:08
夙瑶瑶瑶 发表于 2022-04-19 15:46
先把良田变成荒地,花海搞几年转变土地性质,再一卖,你猜钱会去谁的口袋?

人微言轻啊
wxgshawn来自:中国 发表于 2022-4-19 16:21:33
还是留点土地给子孙后代吧,这么好的良田搞开发发可惜了。粮食安全是最大的安全。

点评

七星都没有了,还要这点干什么  详情 回复 发表于 2022-4-20 15:36
白帽子来自:浙江省 发表于 2022-4-19 15:50:44
精彩演变:良田-》荒地-》花海(炒热度)-》搞房产
夙瑶瑶瑶来自:浙江省 发表于 2022-4-19 15:46:27
先把良田变成荒地,花海搞几年转变土地性质,再一卖,你猜钱会去谁的口袋?

点评

最后谁卖的地,谁拿的钱,谁就是幕后主使  详情 回复 发表于 2022-4-20 09:52
人微言轻啊  详情 回复 发表于 2022-4-19 16:26
纪念新昌宾馆来自:浙江省 发表于 2022-4-19 15:37:52
又有人拿钱了
星星上的点来自:浙江省 发表于 2022-4-19 15:33:13
 

| QQ| 服务条款|关于我们|小黑屋|天姥论坛 ( 浙ICP备2021020645号 )

浙公网安备 33062402000133号 GMT+8, 2026-3-4 21:31 , Processed in 0.207850 second(s), 24 queries , Redis On.

Powered by zjxc.com

© 2003-2026新昌信息港

客户端下载 快速回复 返回顶部 返回列表